ঢাকা
০২ এপ্রিল, ২০২৬
প্রচ্ছদ
ই-পেপার
সর্বশেষ
ফিচার
ধর্ম
জাতীয়
রাজনীতি
নগর-মহানগর
আইন-বিচার
অর্থনীতি ও বাণিজ্য
আন্তর্জাতিক
খেলার খবর
অন্যান্য
দেশের খবর
বিনোদন
লাইফস্টাইল
স্বাস্থ্য
ক্যাম্পাস
বিজ্ঞান ও প্রযুক্তি
সম্পাদকীয়
ফিচার
চাকরির খবর
প্রবাস
সংবাদ শিরোনাম
দুবাইয়ে ইরানের মিসাইল হামলায় কুমিল্লার ব্রাহ্মণপাড়ার প্রবাসী নিহত
কুলাউড়ায় পানিতে ডুবে তিন শিশুর মৃত্যু
সিলেটে পাম্প মালিক-শ্রমিকদের ধর্মঘট প্রত্যাহার
ভ্যাট অডিটের জন্য ৬০০ প্রতিষ্ঠান নির্বাচন করলো এনবিআর
জ্বর, খিঁচুনি ও বমির পর মাদ্রাসা ছাত্রের মৃত্যু, এলাকায় হাম আতঙ্ক
কোহলির রেকর্ডে ভাগ বসালেন পাকিস্তানি ওপেনার
৫ কোটির আইনে দেড় কোটির বৃদ্ধাঙ্গুলি
শিক্ষাপ্রতিষ্ঠানে অনলাইন ক্লাসের বিষয়ে সিদ্ধান্ত আসতে পারে আজ
ইন্দোনেশিয়ায় ৭.৪ মাত্রার ভূমিকম্প, সুনামি সতর্কতা
ফাইনালে বাংলাদেশের প্রতিপক্ষ ভারত
জাতীয়
বিকেলে প্রধানমন্ত্রীর সংবাদ সম্মেলন
আজ পাবনা যাচ্ছেন রাষ্ট্রপতি
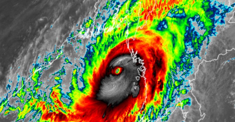
ঘূর্ণিঝড় মোখা: লন্ডভন্ড টেকনাফ ও সেন্টমার্টিন
ঘূর্ণিঝড় ‘মোখা’ ৩টার মধ্যে উপকূল অতিক্রম করবে
মোখার কারণে ঢাকাসহ বিভিন্ন জায়গায় বিদ্যুৎ সরবরাহে বিঘ্ন
ঘূর্ণিঝড় ‘মোখা’ মূল আঘাত মিয়ানমারে, ঝুঁকি কেটেছে বাংলাদেশের
ঘূর্ণিঝড় মোখা: ৩ বিভাগে অতিভারী বৃষ্টির সম্ভাবনা
ঘূর্ণিঝড়সংক্রান্ত সব তথ্যসেবা ৩৩৩ নম্বরে
উপকূল অতিক্রম শুরু করেছে ঘূর্ণিঝড় মোখা
ঘূর্ণিঝড় মোখা; বাতাসের গতি বেড়ে ২১৫ কিলোমিটার
৮ থেকে ১২ ফুট জলোচ্ছ্বাসের শঙ্কা
ঘূর্ণিঝড় মোখার গতি বেড়ে ২১০ কিমি
কক্সবাজার থেকে ৪১০ কিলোমিটার দূরে মোখা
রোহিঙ্গারা যেন ছড়িয়ে পড়তে না পারে, সবাইকে সতর্ক থাকার নির্দেশ: স্বরাষ্ট্রমন্ত্রী
সোমবার সংবাদ সম্মেলনে আসছেন প্রধানমন্ত্রী
‹
1
2
...
315
316
317
318
319
320
321
...
492
493
›
সম্পাদক ও প্রকাশক : মো. নজরুল ইসলাম